東海道本線 野洲の土地一覧
検索条件の変更
表示件数
並び替え
- 新着
- 閲覧済
売地
現在1人がお気に入り登録中
価格1,500万円
お気に入り
- 所在地
- 滋賀県野洲市西河原
- 交通
- 東海道本線 野洲駅 バス乗車18分「西河原二丁目」バス停歩2分
東海道本線 野洲駅 徒歩58分
- 用途
- 近隣商業
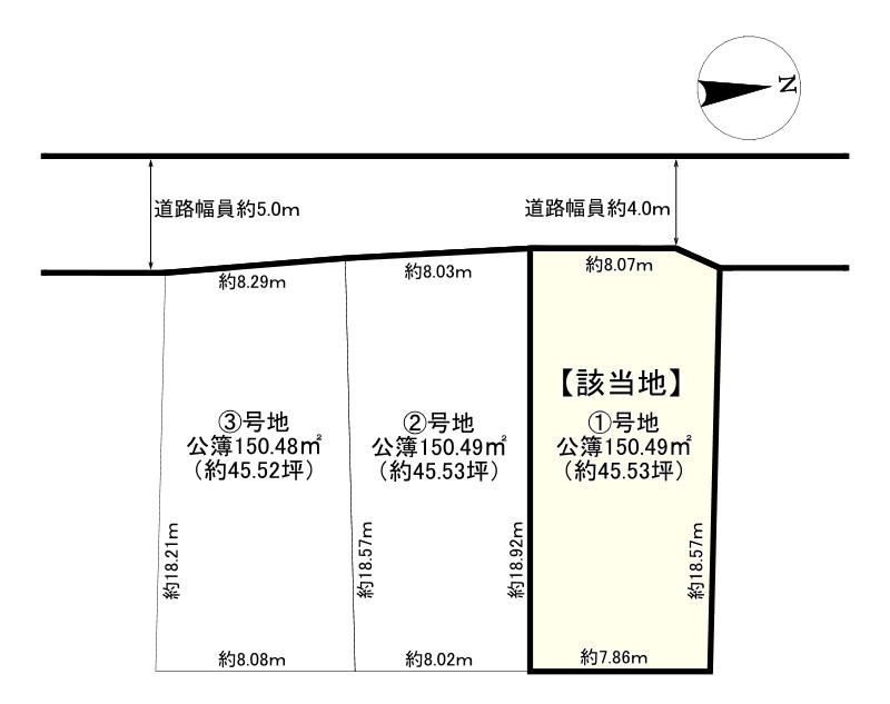
- 土地面積
- 146.32㎡
- 建ぺい率
- 80.00%
- 容積率
- 200.00%
- -
- -
- 146.32㎡
画像準備中
画像点数:0枚
検索エリアの福屋不動産販売の店舗(該当店舗:4店舗)

- 交通
- 阪急京都線 烏丸駅徒歩4分/京都市烏丸線 四条駅徒歩5分/京都市東西線烏丸御池駅徒歩4分
- 住所
- 京都市中京区烏丸通六角下る七観音町637番地インターワンプレイス烏丸ビル1階 [アクセス]
- 電話
- 0120-572-298
滋賀県の土地 人気のエリアランキング
滋賀県の土地 人気の駅ランキング
滋賀県の土地検索人気の駅ランキング第1位は駅周辺にはショッピング施設や飲食店があり、少し離れると田園風景も広がる草津市のJR草津駅。第2位は自然豊かで生活環境も整った大津市のJR石山駅。第3位はのどかな田園風景が広がる東近江市のJR能登川駅。次いで野洲市のJR野洲駅、草津市のJR南草津駅となっています。
※「滋賀県の人気エリアランキング」と「滋賀県の人気の駅ランキング」はFUKUYAサイトのアクセス数をもとに作成したランキングとなります。
滋賀県の土地 お気に入り登録上位トップ10物件
滋賀県のこだわり条件特集
-

滋賀県の建築条件なしの土地・売地を探す
建築会社を自由に選べる建築条件なしの土地・売地を探す。マイホームを注文住宅で建てる。思い通りの自由設計で家を建てたい方向けの土地・売地探し。
-

滋賀県の20坪以下の土地・売地を探す
マイホームを建てるための土地探し。20坪以下の狭小地、価格をおさえる・立地や内容にこだわるための土地・売地探し。
-

滋賀県の20坪~30坪の土地・売地を探す
マイホームを建てるための土地探し。都心部や人気エリアなど価格や立地にこだわって理想のマイホームを建てるために、20坪~30坪の土地・売地探し。
-

滋賀県の30坪~40坪の土地・売地を探す
マイホームを建てるための土地探し。理想の間取りや内装・外観にこだわった家づくりのために、30坪~40坪の土地・売地を探す。
-

滋賀県の40坪~50坪の土地・売地を探す
マイホームを建てるための土地探し。家族構成にあわせた理想の住まいづくり、ゆったり広々とした家を建てる。40坪~50坪の土地・売地を探す。
-

滋賀県の50坪以上の土地・売地を探す
マイホームを建てるための土地探し。快適でゆとりある広々とした理想のマイホームを建てるために、50坪以上の土地・売地を探す。
-

滋賀県の駅徒歩5分以内の土地・売地を探す
駅まで徒歩5分以内で土地・売地を探す。通勤・通学に便利で住環境も充実。人気のこだわり条件・駅近(エキチカ)の土地・売地の物件情報。
-

滋賀県の小学校まで徒歩10分以内の土地・売地を探す
小学校まで徒歩10分以内にある土地・売地を探す。ファミリー世帯・子育て世帯におすすめのこだわり特集、小学校に近い土地・売地を探す。
-

滋賀県の土地・売地3駅利用可能(3WAY)物件を探す
3WAYアクセスの交通利便性が良い土地・売地の特集です。徒歩10分圏内に最寄り駅が3駅以上の土地・売地をピックアップいたしました。
-

滋賀県の2駅利用可能(2WAY)な土地・売地を探す
交通利の便性が良い2WAY土地・売地特集です。徒歩10分圏内に最寄り駅が2駅以上の土地・売地一覧です。
●価格 :
●間取り:
●種別を変更する:
●都道府県を変更する:
滋賀県の土地、宅地・分譲地探し・不動産購入/売却は福屋不動産販売へ
最寄りとなる沿線・駅から滋賀県の土地・売地を検索した結果の物件一覧です。滋賀県の豊富な物件情報の中から、学校や職場の交通の利便性が良い沿線・駅を複数選択することで、幅広く対象となる物件を一覧にしてチェックする事が可能です。滋賀県の東海道本線野洲駅周辺の土地・売地一覧は、それぞれの物件ページで外観や内装、間取りなどをチェックすることが出来ます。また、このページには滋賀県の土地・売地で人気のエリアランキングやお気に入りの多い人気物件情報も掲載しています。








