福屋不動産販売 高砂店
兵庫県 / JR山陽本線宝殿駅 徒歩約15分
キッズスペースあり
駐車場あり
福屋不動産販売 高砂店の特集
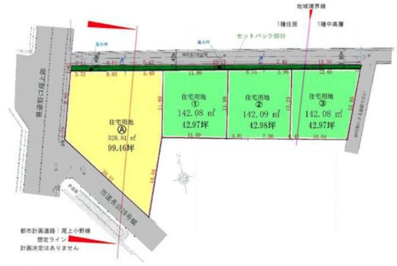
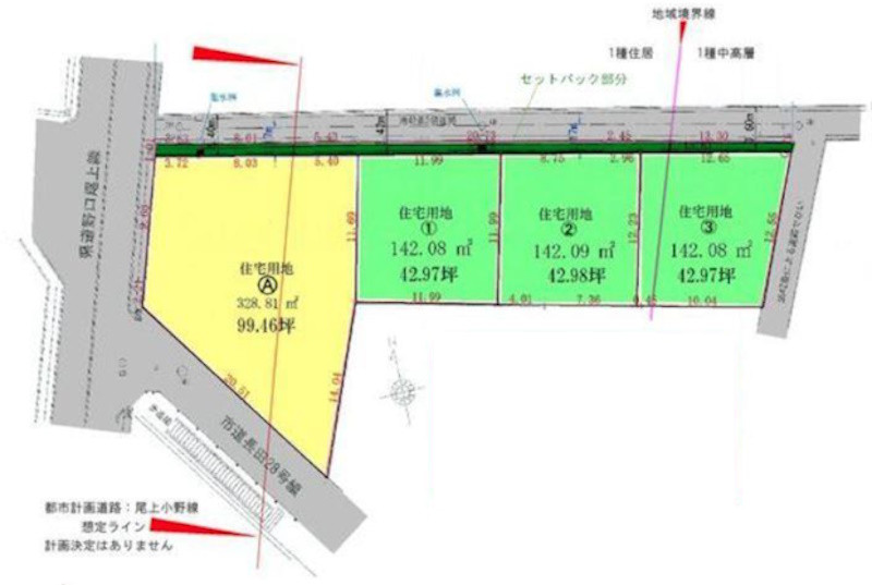
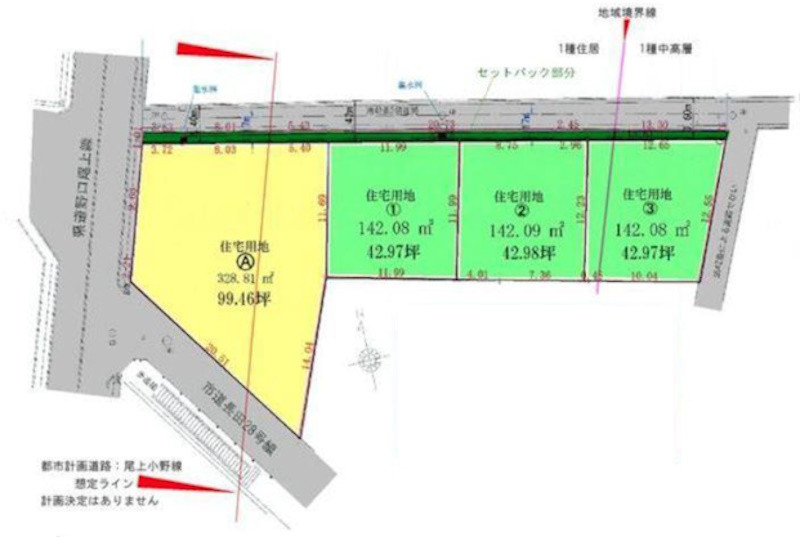
加古川市40坪以上の土地表示件数
並び替え
高砂店のおすすめ物件特集
スマートフォンで
店舗ページを見る
福屋不動産販売 高砂店
兵庫県 / JR山陽本線宝殿駅 徒歩約15分
キッズスペースあり
駐車場あり
高砂市、加古川市、加古郡稲美町、加古郡播磨町での不動産購入・不動産売却/査定は株式会社福屋不動産販売 高砂店へお任せください。
東京都・大阪府・兵庫県・京都府・奈良県・滋賀県・福岡県に90店舗以上のネットワークがあるFUKUYAグループ。
兵庫県の新築・中古マンション・新築一戸建て・中古一戸建て・土地/売り地・投資・収益用物件・店舗・事業用物件
の一覧はこちら。高砂市の物件をお探しのお客様にぴったりの物件をご紹介します!








